وحشت فلوریدا در آستانه ورود طوفان «ایرما»
در حالی که طوفان «ایرما» تا ساعاتی دیگر به فلوریدا میرسد، خروجی شهرهای این ایالت شاهد ترافیک سنگین خودروهایی است که در حال تخلیه ساکنان این شهرها هستند.
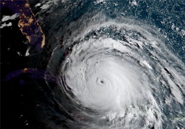
به گزارش شهدای ایران، در حالی که طوفان بزرگ «ایرما» تا ساعاتی دیگر به فلوریدا میرسد، فرماندار این ایالت دستور داده 6.3 میلیون نفر از افرادی که در مسیر عبور این طوفان زندگی میکنند، خانههایشان را تخلیه کنند.
به نوشته خبرگزاری «آسوشیتدپرس»، «ریک پری» فرماندار این ایالت پیشبینی کرده است که طوفان ایرما «فاجعهبارترین طوفان» تاریخ این ایالت باشد.
کارشناسان میگویند این طوفان که با سرعت بیش از 300 کیلومتر در ساعت پیش میرود، ممکن است تا 200 میلیارد دلار خسارت بر جای بگذارد.
بنا بر اعلام مرکز طوفان ایالات متحده، انتظار میرود ایرما اواخر وقت شنبه و اوایل یکشنبه به فلوریدا برسد.
با نزدیک شدن این طوفان، ترافیک سنگینی در خروجیهای شهرهای فلوریدا شکل گرفته و مردم در حال ترک خانههای خود هستند. خطوط هوایی مسافری و نیروی هوایی آمریکا هم در حال خارج کردن هواپیماهای خود از مسیر طوفان هستند.
«چاک واتسون» کارشناس حوادث طبیعی در مصاحبه با پایگاه «بلومبرگ» این طوفان را «کابوسی برای شرکتهای بیمه» توصیف کرده است.
به نوشته بلومبرگ حدود 8.5 میلیون واحد مسکونی و اداری در معرض طوفان ایرما قرار دارند.
طوفان ایرما پیش از رسیدن به آمریکا، در دریای کارائیب چند جزیره را به شدت تخریب کرد. دولت فرانسه اعلام کرده در بخش فرانسوی جزیره «سنت مارتین» بیش از 95% ساختمانها تخریب شدهاند.
ایرما تاکنون دستکم 19 کشته بر جای گذاشته است. مقامات آمریکایی به اهالی فلوریدا هشدار دادهاند که هیچ نقطهای در مسیر طوفان امن نیست و همه باید به سرعت این مناطق را ترک کنند.
طوفان ایرما یک هفته پس از آن رخ میدهد که طوفان بزرگ «هاروی» در ایالت «تگزاس» آمریکا دهها کشته و میلیاردها دلار خسارت بر جای گذاشت.
به نوشته خبرگزاری «آسوشیتدپرس»، «ریک پری» فرماندار این ایالت پیشبینی کرده است که طوفان ایرما «فاجعهبارترین طوفان» تاریخ این ایالت باشد.
کارشناسان میگویند این طوفان که با سرعت بیش از 300 کیلومتر در ساعت پیش میرود، ممکن است تا 200 میلیارد دلار خسارت بر جای بگذارد.
بنا بر اعلام مرکز طوفان ایالات متحده، انتظار میرود ایرما اواخر وقت شنبه و اوایل یکشنبه به فلوریدا برسد.
با نزدیک شدن این طوفان، ترافیک سنگینی در خروجیهای شهرهای فلوریدا شکل گرفته و مردم در حال ترک خانههای خود هستند. خطوط هوایی مسافری و نیروی هوایی آمریکا هم در حال خارج کردن هواپیماهای خود از مسیر طوفان هستند.
«چاک واتسون» کارشناس حوادث طبیعی در مصاحبه با پایگاه «بلومبرگ» این طوفان را «کابوسی برای شرکتهای بیمه» توصیف کرده است.
به نوشته بلومبرگ حدود 8.5 میلیون واحد مسکونی و اداری در معرض طوفان ایرما قرار دارند.
طوفان ایرما پیش از رسیدن به آمریکا، در دریای کارائیب چند جزیره را به شدت تخریب کرد. دولت فرانسه اعلام کرده در بخش فرانسوی جزیره «سنت مارتین» بیش از 95% ساختمانها تخریب شدهاند.
ایرما تاکنون دستکم 19 کشته بر جای گذاشته است. مقامات آمریکایی به اهالی فلوریدا هشدار دادهاند که هیچ نقطهای در مسیر طوفان امن نیست و همه باید به سرعت این مناطق را ترک کنند.
طوفان ایرما یک هفته پس از آن رخ میدهد که طوفان بزرگ «هاروی» در ایالت «تگزاس» آمریکا دهها کشته و میلیاردها دلار خسارت بر جای گذاشت.




*فارس




حوادث آمریکا ؛
41 کشته و زخمی در تیراندازی در مناطق مختلف آمریکا
در چهل و دو مورد تیراندازی گزارش شده در بیست و چهار ساعت گذشته در ایالت های مختلف آمریکا دست کم ده نفر کشته و سی و یک نفر زخمی شدند.
تاریخ: ۱۹ شهريور ۱۳۹۶ - ۱۱:۴۷
به گزارش سرویس بین الملل خبرگزاری صداوسیما به نقل از مرکز ثبت آمار خشونت های تسلیحاتی در آمریکا، در چهل و دو مورد تیراندازی گزارش شده در بیست و چهار ساعت گذشته در ایالت های مختلف آمریکا دست کم ده نفر کشته و سی و یک نفر زخمی شدند.
در یکی از تیراندازی های گزارش شده در ایالت ایندیانا، پلیس ایندیاناپلیس درحال تحقیق درباره تیراندازی در ایستگاه اتوبوسی در خیابان دهم غربی است که در نتیجه آن دو نفر زخمی شدند. دو قربانی به پلیس گفته اند فردی سوار بر یک خودروی سفید رنگ به این دو نفر تیراندازی کرده و سپس گریخته است. پلیس می گوید قربانیان صد در صد با پلیس همکاری نمی کنند و یکی از آنها به دلیل تخلف در استفاده از سلاح در گذشته بازداشت شده است. پلیس دورهام در کارولینای شمالی در حال تحقیق درباره دو حادثه تیراندازی است که در نتیجه آنها سه نفر زخمی شدند که حال دو نفر از آنها وخیم است. در اولین حادثه در خیابان "مارخام" دو جوان پسر و دختر نوزده ساله هدف چندین گلوله قرار گرفتند که حال هر دوی آنها وخیم است. بازپرسان پلیس درحال دنبال کردن سرنخ هایی درباره محل اقامت مظنون احتمالی این تیراندازی هستند. در حادثه دوم، فردی در تقاطع "سِسیل" و "کانکورد" نزدیک محوطه دانشگاه مرکزی کارولینای شمالی هدف تیراندازی قرار گرفت و زخمی شد. تحقیقات پلیس درباره این حادثه ادامه دارد. پلیس در "گرن رپیدز" در ایالت میشیگان در حال تحقیق درباره حادثه تیراندازی است که به کشته شدن دو نفر منتهی شد. خودروی دو قربانی نزدیک درختان خیابان "گراهام" و در شرایطی پیدا شد که یکی از قربانیان داخل خودرو بود و دیگری در پنجاه یاردی محل توقف خودرو پیدا شد. تحقیقات پلیس درباره این حادثه آغاز شده و پلیس از شاهدان احتمالی برای یافتن مظنونان درخواست کمک کرده است. پلیس دیترویت در ایالت میشیگان نیز از تحقیق درباره مرگ یک زن و مرد در این منطقه خبر داد که با شلیک گلوله به پشت سرشان و به شیوه اعدام کشته شده اند. پلیس می گوید قربانیان در صندلی راننده و سرنشین جلو قرار داشتند و ظاهرا فرد سومی داخل خودرو بوده و احتمالا مظنون حادثه است. این شخص که سن و جنسیتش مشخص نشده، از محل گریخته است. در یکی از تیراندازی های ایالت ایلینوی در شیکاگو بر اثر تیراندازی از داخل خودرو دو مرد سی و نه و چهل ساله زخمی شدند. حال یکی از زخمی ها وخیم گزارش شده است. هنوز هیچ کس در رابطه با این حادثه بازداشت نشده است. در تیراندازی دیگری در همین ایالت، سه نفر که در مقابل مجتمع 300 در "ساوت کمبل" ایستاده بودند بر اثر تیراندازی فردی از داخل خودرو زخمی شدند. پلیس کلمبوس در ایالت جورجیا نیز از زخمی شدن دو نفر در نتیجه حمله به خانه ای در این منطقه خبر داد. پلیس می گوید مهاجمان چندین نفر بوده اند. پلیس مونت گومری همچنین از تحقیق درباره تیراندازی در این شهر در ایالت جورجیا خبر داد که دو زخمی برجای گذاشت. پلیس می گوید تیراندازی در حین سرقت رخ داده است. جزئیات حادثه هنوز به طور کامل منتشر نشده است. هشت مورد از تیراندازی های گزارش شده در این مدت قربانی (کشته یا زخمی) نداشته است.
به گزارش مرکز ثبت خشونت های تسلیحاتی، هفتاد و سه مورد تیراندازی در بیست و چهار ساعت جمعه تا شنبه در شهرها و ایالت های آمریکا گزارش شده است که در نتیجه آنها دست کم بیست و یک نفر کشته و سی و هشت نفر زخمی شدند. بیست و سه مورد از تیراندازی های گزارش شده در این مدت قربانی (کشته یا زخمی) نداشته است.
بر این اساس طی چهل و هشت ساعت گذشته صد و پانزده مورد تیراندازی در شهرها و ایالت های مختلف آمریکا گزارش شده است که در نتیجه آنها سی و یک نفر کشته و شصت و نه نفر زخمی شدند.
با توجه به اینکه گزارش های تیراندازی ها در شهرها و ایالت های مختلف آمریکا معمولا چهل و هشت ساعت پس از وقوع کامل می شود، آمار تیراندازی های بیست و چهار ساعت شنبه تا یکشنبه (شبانه روز گذشته) نیز روز دوشنبه نهایی می شود.
بنابر گزارش مرکز خشونت های تسلیحاتی در آمریکا، 42939 مورد تیراندازی از ابتدای سال 2017 تاکنون در شهرها و ایالت های مختلف آمریکا به ثبت رسیده است که این تعداد تیراندازی 10685 کشته و 21474 نفر زخمی برجای گذاشته است 503 مورد از قربانیان (کشته یا زخمی) این خشونت های تسلیحاتی کودکان زیر یازده سال و 2234 نفر نوجوان هستند. 248 مورد تیراندازی به جمع، 1711 مورد حمله به منازل، 1404 مورد استفاده از سلاح به عنوان وسیله دفاعی و 1396 مورد تیراندازی سهوی در این مدت به ثبت رسیده است.
بر این اساس در یک هفته گذشته از (11 تا 18 شهریور)، 1193 مورد تیراندازی در شهرها و ایالت های مختلف آمریکا به ثبت رسیده است که این تعداد تیراندازی 306 کشته و 634 نفر زخمی برجای گذاشته است 15 مورد از قربانیان (کشته یا زخمی) این خشونت های تسلیحاتی کودکان زیر یازده سال و 67 نفر نوجوان هستند. 4 مورد تیراندازی به جمع، 42 مورد حمله به منازل، 37 مورد استفاده از سلاح به عنوان وسیله دفاعی و 32 مورد تیراندازی سهوی در این مدت به ثبت رسیده است.